En medio de rumores sobre posibles romances con la productora de Nace una Estrella y hasta con su profesor Luis Montalbert, la finalista, Ana Laura Madrigal, tiene su corazón y mente en otra cosa, porque una mala noticia le amargó sus vacaciones.
Mientras disfrutaba de sus vacaciones en Guatemala, la sancarleña y su familia pasan una situación complicada porque uno de sus amores, un perrito, fue atropellado durante la tarde de este jueves.
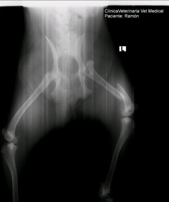
Ella compartió la noticia muy afligida y conversó con La Teja sobre el complicado estado de su querido Ramón.
“Ahorita estoy de vacaciones, lejos de mi pueblo, de mi casa y a mi perrito me lo atropellaron ayer (jueves) en horas de la tarde, le causaron varias fracturas en una de sus patas y ahorita estamos hablando con la veterinaria para saber qué sigue”, contó.
La amante del rock aseguró que todavía no saben quién atropelló a Ramón, porque la persona no se detuvo.
“Todavía no sabemos quién fue porque no tenemos cámaras de seguridad, porque el imprudente se fue a la fuga”, explicó.
En su cuenta pública de Instagram hizo algunas historias para hablar sobre el tema, cosa que nunca hace, pero necesita ayuda de la gente porque en la situación de Ramón, la veterinaria les dio hasta la opción de tener que inyectarlo para dormirlo.
“Él es un cachorro y tiene muy pocos años de vida, de verdad me duele que nos den la opción de dormirlo porque la situación es muy costosa, en vista que ni mi familia ni yo contamos con el monto para atenderlo lo más antes posible, vengo a pedirles ayuda, por favor, de corazón les pido ayuda, es solo un cachorro”, dijo la artista.
Madrigal nos contó que Ramón va a necesitar al menos tres operaciones porque una de sus patitas quedó muy maltratada, esto les saldría en un costo aproximado de un millón de colones y de momento no tienen esa cantidad y la idea es que el perrito no siga sufriendo.
Ella abrió su corazón para pedir ayuda, que quienes quieran sumar para salvar al peludito, lo hagan por medio de un Sinpe móvil al número de celular: 7115-8645.
“Yo estaré pasando las facturas con la cotización exacta de los gastos y después cuando se pague todo también las voy a pasar para que no haya ningún malentendido”, aseguró.
Quitada.
Esta situación llegó a la vida de la artista en medio de los rumores de que está viviendo una relación de más que amistad con Vivian Peraza, productora de exitosos formatos de Teletica como De Boca en Boca, Dancing with the stars, Spelling Be, Tu cara me suena y Nace una estrella, donde conoció a Madrigal.
Ambas se fueron de paseo a Guatemala desde hace unos días y por eso los rumores se dispararon.
Aunque no cabe duda que estar compartiendo todos los días durante varios meses crea muchos vínculos y así lo demostraron todos los participantes, miembros de la banda, de la producción y los bailarines, un aspecto muy importante hizo creer a muchos que la oriunda de San Carlos podría tener más que una amistad con la productora.
LEA MÁS: Exparticipante de Nace una estrella se muestra muy feliz al lado de Verónica González
Y es que después de meses de mucho trabajo, por parte de ambas con el concurso de canto y con sus proyectos fuera del mismo, ellas decidieron empezar el 2024 juntas en paradisíacos y bellos lugares del país chapín. Al principio no compartieron nada una con la otra, pero este jueves Madrigal subió un selfie donde posan muy felices.
Como todavía no se sabe si la relación solo es una bonita amistad o algo más, a la roquera también la han estado relacionando con el cantante nacional Luis Montalbert, quien fue uno de sus profes de canto durante la sexta temporada del programa.
La Teja le consultó a Madrigal sobre estos rumores y cómo los tomaba, pero ella nos dijo que en este momento está 100% concentrada en lo que está pasando su familia con Ramón y no se quiere referir a ese tipo de temas.
Se sabe que la relación no es algo nuevo y que habría comenzado incluso cuando el programa estaba al aire, el año anterior.



